![]() |
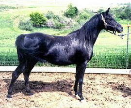
Color: Sex: Date of Birth: Registration #: Breeder: Owner: |
Black Mare 3/23/95 517156 Lyle & Reva Orso Lyle & Reva Orso |
16.4% *WITEZ II BREEDING
| Parents | Grandparents | Great-Grandparents | Great-Great-Grandparents |
| SIRE EL NIGADIN Registration: 187422 Color: Black Breeder: J. B. or L. Ashjornson |
SIRE OF
SIRE NIGA Registration: 011972 Color: Black |
NITEZ Registration: 007447 |
*WITEZ II #003933 |
| NAFA #001448 | |||
| GALENA Registration: 005366 |
PHANTOM #002186 | ||
| BALENA #003291 | |||
| DAM OF
SIRE FADINA Registration: 021276 Color: Chestnut |
DINWAR Registration: 025672 |
EL DINARI #007539 | |
| JAWAR #007919 | |||
| FAZMIA Registration: 013596 |
FA-TURF #007895 | ||
| GAZMIA #008716 | |||
| DAM
DAMA WITEZ Registration: 375222 Color: Black Breeder: Ed Strand, Toddville, IA |
SIRE OF DAM NIGAS WITEZ Registration: 181637 Color: Bay |
NIGA Registration: 011972 |
NITEZ #007447 (by *WITEZ II) |
| GALENA #005366 | |||
| PRINCESS
GALWE Registration: 066355 |
GALLIANO
#037722 (out of POMONA WITEZA, by *WITEZ II) |
||
| WIWONKA #009257 (by *WITEZ II) | |||
| DAM OF
DAM MARR AMIGO Registration: 237682 Color: Bay |
HAL
GIBBY Registration: 112629 |
*HAL GAZAL #068796 | |
| G-AMAKA
#037993 (by G-AMIGO, by NIGA, by NITEZ, by *WITEZ II) |
|||
| MAR-CHALLE Registration: 140736 |
CHAL MIGO
#057018 (by G-AMIGO, by NIGA, by *WITEZ II) |
||
| MARTEZ
#011797 (by NITEZ, by *WITEZ II) |
|||